Huracán “Laura” impactó en la costa de EE.UU. con vientos de 240 kilómetros por hora
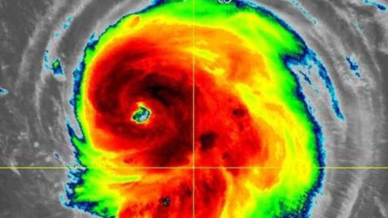
El huracán "Laura" tocó tierra en las costas de Luisiana, convertido en un ciclón de categoría 4, de 5 posibles. Vientos de 240 kilómetros por hora y marejadas con olas de 6 metros, provocaron la evacuación obligatoria de 620 mil personas.

COMENTARIOS
Para comentar este artículo debes ser suscriptor.











